Содержание
Введение
1. Фазы водного режима
2. Промерочныеработы на реках
2.1 Приборы для измерения глубин
2.2 Способы выполнения промерных работ
Список литературы
Введение
Водные ресурсы важный соцэкономический фактор развития нашего общества, с ростом населения, производства растет и водопотребление (по прогнозам к 1-й пол 21 столетия объем водопотребления может превысить ежегодно возобновляемые водные ресурсы.
Гидрология изучает свойства гидросферы, процессы происхождение в водных объектах гидросферы. Взаимодействие гидросферы с окружающими сферами атмосферы и литосферы. Гидрология делится на гидрологию суши и моря. Гидрология суши делится по объектам исследования: 1)учение о реках, 2)озероведение, 3)болотоведение, 4)учение о ледниках, 5)подземные воды. По направленностям и методам исследования делится на научные дисциплины: 1)общая гидрология, 2)гидрометрия (приборы для изм. и набл) систематическое изучение гидрологического режима водных объектов, 3)гидрологические и водохозяйственные расчеты, 4)гидрография описание конкретных водных объектов, 5)гидрологические прогнозы. Методы – 1)стационарный, 2)экспедиционный, 3)экспериментальный - детальное изучение гидрологических процессов в лаборатории или а природных условиях, 4)теоретический.
1. Фазы режима рек. Типы питания. Классификация рек по внутригодовому распределению стока
В зависимости от условий питания в режиме рек различают следующие фазы: половодье, паводки и межень. Половодье характеризуется продолжительным повышением стока, повторяющимся ежегодно в один и тот же сезон.
Для большинства равнинных рек характерно весеннее половодье, вызываемое снеготаянием; для горных рек — вызываемое таянием снега и ледников (летнее половодье). На Дальнем Востоке причиной длительного летнего половодья являются затяжные муссонные дожди.

1 — глубокое подземное питание, 2 — верховое подземное питание, 3 — снеговое половодье. 4 — отдача поймы, 5 — дождевые паводки, 6 — потери стока воды на образование льда
Рисунок 1.1 – Схема расчленения гидрографа по источникам питания.
Паводки представляют собой резкое кратковременное повышение стока, вызванное ливневыми дождями или оттепелями зимой. Не приуроченные к определенному периоду паводки повторяются в некоторые годы по нескольку раз.
Межень — продолжительный низкий сток, обусловленный переходом реки почти исключительно на подземное питание. На реках СССР различают летнюю и зимнюю межень.
Типичный ход изменения стока в течение года — гидрограф — на реках европейской части показан на рис. 1.1.
Чтобы определить долю того или иного вида питания, гидрограф расчленяют по источникам питания. На рис. 1.1 показан пример расчленения гидрографа р. Волги методом Б.В. Полякова. Горизонтальная прямая, разделяющая глубоководное и верховое подземное питание, проведена на высоте наименьшего расхода воды перед наступлением половодья. С началом половодья подземное питание убывает и полностью прекращается, когда расход воды достигает наибольшего значения. На гидрографе показаны летне-осенние паводки и потери стока на образование льда.
Классификация рек. Каждая река неповторима. Однако реки имеют общие черты, зависящие от климатических условий, видов питания и водного режима, и это позволяет объединить их в более или менее однородные группы. Так, Б.Д. Зайков все реки делит на три группы: 1) с весенним половодьем, 2) с половодьем в теплую часть года и 3) с паводочным режимом. Реки первой группы он делит еще на пять типов: казахстанский (1), восточноевропейский (2), западносибирский (3), восточносибирский (4), алтайский (5). Типовые гидрографы показаны на рис. 1.2.
Казахстанский — характеризуется очень высокой волной весеннего половодья и низким (до полного пересыхания) стоком п остальную часть года. Сток дают почти исключительно зимние осадки, быстрое таяние которых вызывает высокое, но непродолжительное половодье (рис. 1.2 а).
Восточноевропейский — характеризуется высоким весенним половодьем, летней меженью, прерываемой эпизодически ливнями, низкой зимней меженью и повышенным осенним стоком. Некоторые реки этого типа имеют два максимума: первый (главный) — весной и второй — осенью (рис. 1.2 б).
Западносибирский — имеет небольшое, растянутое половодье, повышенный летне-осенний сток и низкую зимнюю межень. Наличие в бассейнах рек этого типа болот, озер, обширных заливаемых пойм оказывает регулирующее влияние на сток (рис. 1.2 в)
Восточносибирский — характеризуется высоким весенним половодьем, систематическими летне-осенними паводками и очень низким зимним стоком. Этот тип рек связан с обильными дождями летом и осенью и исключительно скудным подземным питанием (рис. 1.2 г.) в условиях многолетней мерзлоты.
Алтайский — отличается невысоким, растянутым, гребенчатым весенним половодьем, повышенным летне-осенним и низким зимним стоком. Характер половодья рек этого типа объясняется особенностями таяния снега в горах: разновременным снеготаянием на разных высотах. На снеговое половодье накладываются дождевые паводки. Устойчивый зимний сток обусловлен обильным подземным питанием (рис. 1.2 д).
Реки второй группы делятся на два типа.
Дальневосточный — имеет невысокое, растянутое, гребенчатого вида половодье в летне-осенний период, вызванное ливневыми осадками, и низкий сток в холодное полугодие. Зимних осадков здесь выпадает мало; подземное питание ограниченно вследствие распространения многолетней мерзлоты (рис. 1.2 е).

Рисунок 1.2 – Основные типы внутригодового распределения стока рек
Тяньша некий — распространен в горах Средней Азии, Большого Кавказа и Камчатки, отличается высоким зимним стоком. Характеризуется летне-осенним половодьем, вызванным таянием высокогорных снегов и ледников (рис. 1.2 ж).
Реки третьей группы в зависимости от характера распределения паводков в течение года делятся на три типа.
Причерноморский — характеризуется паводочным режимом в течение всего года. Основной источник питания — дожди. Частично питание происходит за счет снега, который выпадает в горах и обычно быстро тает (рис. 1.2 з).
Крымский — отличается от предыдущего низким стоком летнего сезона (рис. 1.2 и).
Северокавказский — распространен в восточной части северного склона Большого Кавказа, характеризуется паводками в теплое время и устойчивой меженью в холодное (подземное питание незначительное) (рис. 1.2 к).
2.
Промерочные работы на реках
2.1 Приборы для измерения глубин
Расстояние по вертикали от свободной поверхности воды до дна реки (канала, озера, водохранилища и т.п.) называется глубиной. Измерения глубины (промерные работы) — очень важный вид гидрометрических работ. Они необходимы для изучения рельефа дна водных объектов для нужд судоходства и лесосплава; при проектировании, строительстве и эксплуатации гидротехнических сооружений; при измерении расходов воды и наносов; при определении объемов воды, содержащейся в озерах и водохранилищах.
Для измерения глубины применяются различные приборы и устройства. Рассмотрим основные из них.
Гидрометрические штанги. При измерении небольших глубин (до 6 м) применяют гидрометрическую штангу (наметку), которая представляет собой деревянный шест длиной до 7 м и диаметром 4-5 см. Нижняя часть наметки заканчивается железным башмаком массой 0,5-1 кг, который предохраняет ее от повреждения при ударах о дно. При илистых грунтах на башмаке укрепляется поддон в виде диска диаметром 15-30 см. Наметка размечается 10-сантиметровыми делениями, которые попеременно окрашиваются белой и красной масляной краской. Нулевое деление должно совпадать с нижней поверхностью башмака или поддона. В момент измерения наметка должна занимать вертикальное положение. Отсчет глубины делают с погрешностью 2-5 см.

Рисунок 2.1 – Груз гидрометрический стандартный.
При измерениях малых глубин нередко используют также водомерные и нивелирные рейки, штанги от гидрометрических вертушек.
Лоты. Измерение глубин более 6 м выполняют с помощью ручных или механических лотов.
Ручной лот представляет собой металлический груз массой 3-6 кг конической и пирамидальной формы, подвешенный на пеньковом или капроновом шнуре или же на мягком тросе (лотлине). Лотлинь размечают марками на метры и дециметры.
При измерении глубин лот забрасывают против течения воды, а отсчет берут в тот момент, когда лотлинь в натянутом состоянии займет вертикальное положение.
Ручные лоты применяют при небольших скоростях течения (до 1 м/с). Вследствие прогиба лотлиня и относа лота течением, погрешность измерения глубины лотом составляет 5-10 см.
При измерении глубин речных потоков с большими скоростями течения применяют лоты механические, в которых груз опускается и поднимается с помощью лебедки.
Стандартные гидрометрические грузы имеют обтекаемую (рыбовидную) форму (рис. 2.1) и массу от 5 до 100 кг. К тросу они крепятся посредством вертлюга, обеспечивающего свободное вращение груза в горизонтальной плоскости и установку его по направлению течения. Грузы опускают в воду и поднимают при помощи гидрометрических лебедок типа «Нева» (рис. 2.2), «Луга» и других. Длина вытравленного троса регистрируется счетчиком. Момент соприкосновения груза с дном устанавливают по уменьшению натяжения лотлиня или по сигналу от донного электроконтакта, расположенного под грузом.

Рисунок 2.2 - Гидрометрическая лебедка «Нева»

Рисунок 2.3 – Схема к определению поправок на относ линя течением (а) и угломер (б)
Вследствие относа лота течением и отклонения по этой причине лотлиня от вертикального положения измеренная глубина превышает фактическую (рис. 2.3). В связи с этим в измеренные с помощью лота глубины нужно вносить поправки. Теоретическое обоснование поправок ∆l к длине подводной части троса l дне Д.Я. Ратковичем
При работах механическим лотом с судна (лодки, катера) груз после измерения глубины лишь несколько приподнимают над дном и перемещают под водой в другую точку измерения. Это ускоряет выполнение промерных работ.

1 — вибратор-излучатель; 2 — забортное устройство, 3 — вибратор-приемник
Рис. 2.14. Схема измерения глубин эхолотом
Эхолоты. При проведении промерных работ с движущегося судна широкое применение получили эхолоты — приборы, автоматически измеряющие и регистрирующие глубины.
Действие эхолота основано на принципе измерения времени прохождения ультразвуковой волны от вибратора-излучателя 1 (рис. 2.4) до дна и отраженной волны обратно до вибратора-приемника 3. Из рис. 2.4 следует, что
h — a=
где b — половина расстояния между излучателем и приемником звука; l
— путь, проходимый звуковой волной от излучателя до дна или от дна к приемнику звука; а — глубина погружения под воду излучателя и приемника звука;
t = ct/2
где с — скорость распространения звука в воде (в среднем для пресной воды—1462 м/с); t — время прохождения звуком пути 2l
.
Подставляя выражение в уравнение, получаем
h =
Таким образом, при известных значениях а
, b
и с
для определения глубины h
достаточно измерить время t
.
В нашей стране серийно производятся промышленностью и применяются при гидрометрических работах речные эхолоты типа ИРЭЛ, «Кубань», «Молога» и другие. Рассмотрим наиболее простой из них, ИРЭЛ. Он состоит из: центрального прибора для управления посылки и приемом ультразвуковых импульсов и автоматической записи глубин; блока питания для обеспечения электроэнергией двигателя, усилителя и других электрических цепей прибора; забортного устройства для погружения в воду обтекателя с вибратором-излучателем и вибратором-приемником, а также вспомогательных принадлежностей (запасных частей, монтажных устройств, инструментов).
Забортное устройство крепится к борту судна и с помощью кабеля подключается к центральному прибору. Для определения глубины погружения вибраторов на штанге забортного устройства нанесены деления через 1 см. Запись глубин производится непрерывно в виде профиля на электротермической бумаге. Эхолот позволяет измерять глубину от 0,5 до 20 м. Погрешность измерения при глубинах 0,5-5 м составляет 0,1 м, при больших глубинах— 2% измеряемой глубины. Масштаб записи глубин 1:100, горизонтальный масштаб зависит от скорости движения судна. Максимальная скорость движения судна при промерных работах — 15 км/ч.
2.2 Способы выполнения промерных работ
В состав промерных работ входят: измерение глубины, определение координат промерных вертикалей, а также наблюдения за уровнем воды.
Применяют следующие способы промеров: по поперечникам, по продольникам и косым галсам.
Измерение глубин по поперечникам на малых реках выполняют с гидрометрических мостиков или люлек, подвешенных на тросе, на средних и больших — с лодок или катеров. Глубины измеряют наметкой, рейкой, штангой или лотом. Положение промерной вертикали относительно постоянного начала (закрепленной на берегу точки отсчета расстояний) при работах с мостика определяют с помощью мерной ленты или рулетки, а при измерениях с люльки по мерному тросу, натянутому параллельно ездовому тросу и размеченному марками через 1-2 м.
На реках шириной до 300 м при скоростях течения до 1,5 м/с промеры обычно выполняют с лодки, перемещающейся вдоль туго натянутого через реку стального размеченного троса.
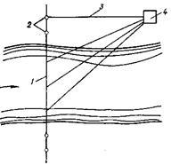
На реках шириной более 300 м положение промерных вертикалей на поперечнике определяют с помощью геодезических угломерных приборов (теодолита, гониометра, кипрегеля с мензулой и др.), установленных на берегу, или секстантом с лодки.
На одном из берегов прокладывают базис, перпендикулярно к которому разбивают и закрепляют геодезическими вешками промерные створы — поперечники (рис. 2.5). На реках шириной до 500 м для обозначения поперечника достаточно двух вешек на одном берегу, а на реках, ширина которых превышает 500 м, необходима установка вешек в створе поперечника и на другом берегу.

1 — промерный створ, 2 —вешки, 3 — базис, 4 — угломерный инструмент
Рисунок 2.5 – Определение положения промерных точек на поперечнике с помощью угломерного инструмента.
Расстояния между поперечниками назначают в зависимости от ширины реки, рельефа дна, задач промерных работ. Обычно они составляют 1/3-1/4 ширины реки. Место установки геодезического инструмента на базисе выбирают так, чтобы с одной стоянки хорошо просматривался ряд поперечников вверх и вниз по течению, а углы между направлением поперечника и лучом визирования были не менее 30°.
При использовании мензулы приводят планшет в горизонтальное положение, ориентируют по сторонам света, наносят точку стоянки, базис, поперечники, контур берегов по урезам.Промеры выполняют с лодки (или катера), перемещающейся от одного берега к другому строго в створе поперечника. Мензу-лист в кипрегель следит за лодкой и по сигналу с нее в момент измерения глубины наводит вертикальную ось визирования на наметку или лотлинь, делает засечку на соответствующем поперечнике и записывает номер промерной точки и цвет сигнального флажка. Обычно сигналы подаются поочередно красным и белым флажками. Сигнальщик на лодке записывает в журнал номер поперечника, номер промерной точки, цвет флажка и глубину. К промерам на следующем поперечнике приступают только после сверки количества промерных точек в журнале и на планшете для поперечника, где проведены измерения.

Рисунок 2.6 – Схема промеров по продольникам (а) и косым галсам (б)
Количество промерных вертикалей на поперечнике назначают в зависимости от ширины реки и рельефа дна. В среднем на реках шириной до 500 м их число должно составлять 20—30, а при ширине реки более 500 м — от 25 до 50. При плавном изменении рельефа дна промерные вертикали назначают реже, а при неровном дне — чаще в соответствии с особенностями профиля дна.
При больших скоростях течения (более 1,5 м/с), когда лодку (катер) трудно удержать в створе поперечника, переходят к измерениям глубин по продольникам и косым галсам.
При промерах по продольникам (рис. 2.6 а) на базисе устанавливают два угломерных инструмента (мензулы с кипрегелями, теодолиты и т.п.). Лодка (катер) перемещается по течению примерно параллельно береговой линии. В момент измерения глубины по сигналу с лодки засекается положение промерной вертикали одновременно двумя инструментами. Продольники назначаются обычно через 1/10-1/20 ширины реки, у берега чаще, чем в средней части реки.
При промерах по косым галсам (рис. 2.6 б) лодка под воздействием течения пересекает реку под углом 30-45° к фарватеру; траектория движения имеет вид кривой линии (галс). Промеры и засечки координат промерных точек при этом способе выполняют так же, как и по продольникам, применяя два угломерных инструмента. Галсы располагают примерно через 1/4-1/2 ширины реки.
В зимний период при наличии прочного ледяного покрова промеры глубины выполняют со льда. Расстояние от постоянного начала до промерных вертикалей измеряют мерной лентой или по размеченному тросу. В точках промеров пробивают лунки. Глубину измеряют от уровня воды в лунке наметкой или ручным лотом с лотлинем из мягкого стального троса. Кроме того, определяют толщину льда и глубину его погружения в воду.

Рисунок 2.7 – Схема определения координат промеров радиогеодезическимметодом
Способы промерных работ на озерах и водохранилищах зависят от их размеров. На небольших водоемах промеры обычно выполняют по поперечникам, располагая их приблизительно перпендикулярно к продольной оси водоема. Базис разбивают на одном из берегов, а поперечники закрепляют створными знаками в зависимости от ширины водоема на одном или двух берегах. Число промерных профилей назначают в зависимости от рельефа дна. При ровном дне поперечники разбивают через 200-500 м, а при сложном рельефе дна — через 50 м. Расстояния между промерными вертикалями на профиле принимают равными 10-20 м и более на водоемах с плавным очертанием дна и 5-10 м — при сложном рельефе.
На крупных озерах и водохранилищах, когда отсутствует прямая видимость берегов, координирование промеров выполняют радиогеодезическими методами. На берегу разбивают базис, на концах которого устанавливают две радиостанции, называемые отражающими (ОРС). Третья радиостанция — задающая (ЗРС) — размещается на судне (рис. 2.7). При движении судна по заданному галсу производится измерение глубины эхолотом. Местоположение судна засекают с помощью непрерывно работающих задающей и отражающих радиостанций.
Список литературы
1. Бочкарев Я.В., Овчаров Е.Е. Основы автоматики и автоматизация производственных процессов в гидромелиорации, — М.: Колос, 1981. — 336 с.
2. Быков В.Д., Васильев А.В. Гидрометрия. — Л.: Гидрометеоиздат, 1977 — 447 с.
3. Водохранилища мира. Институт водных проблем АН СССР.— М.: Наука. 1979.—282 с.
4. Гуральиик И.И., Дубинский Г.П., Ларин В.В., Маликонова С.В. Метеорология.-—Л.: Гидрометеоиздат, 1982.— 440 с.
5. Железняков Г.В., Неговская Т.А., Овчаров Е.Е. Гидрология, гидрометрия и регулирование стока.— М.: Колос, 1984.— 431 с.
6. Гидрологические расчеты при осушении болот и заболоченных земель / Под ред. К.Е. Иванова.— Л.: Гидрометеоиздат, 1963.— 447 с.
7. Карасев И.Ф. Речная гидрометрия и учет водных ресурсов.— Л.: Гидрометеоиздат, 1980.— 312 с.
8. Лучшева А.А. Практическая гидрометрия. — Л.: Гидрометеоиздат. 1983,—423 с.
9. Лучшева А.А. Практическая гидрология.— Л.: Гидрометеоиздат, 1976,— 440 с.
10. Плешков Я.Ф. Регулирование речного стока. — Л.: Гидрометеоиздат, 1975.—560 с.
11. Рекомендации по расчету испарения с поверхности суши.— Л.: Гидрометеоиздат, 1976. — 94 с.
12. Рождественский А.В., Чеботарев А.И. Статистические методы в гидрологии.— Л.: Гидрометеоиздат, 1974. — 422 с.
13. Строительные нормы и правила. Определение расчетных гидрологических характеристик. СНиП 2.01.14-83. М.: Государственный комитет по делам строительства, 1985. - 97 с.
14. Хамадов И.Б., Бутырип М.В. Эксплуатационная гидрометрия в ирригации.— М.: Колос, 1975. — 208 с.
15. Шумков И.Г. Речная аэрогидрометрия. — Л.: Гидрометеоиздат, 1982. — 29S с.
|