МІНІСТЕРСТВО ОСВІТИ ТА НАУКИ УКРАЇНИ
ХАРКІВСЬКА НАЦІОНАЛЬНА АКАДЕМІЯ МІСЬКОГО ГОСПОДАРСТВА
Факультет Менеджменту
Кафедра транспортних систем і логістики
ПОЯСНЮВАЛЬНА ЗАПИСКА
до курсового проекту
з дисципліни: «Організація руху видів транспорту»
Харків 2009
ЗМІСТ
ВСТУП
1 РОЗРАХУНОК ПРОПУСКНОЇ МОЖЛИВОСТІ ДІЛЯНОК МЕРЕЖІ
2 ВИЗНАЧЕННЯ ХАРАКТЕРИСТИК ДОРОЖНЬОГО РУХУ
3 РОЗМІЩЕННЯ ЗУПИНОЧНИХ ПУНКТІВ
4 РОЗРАХУНОК ХАРАКТЕРИСТИК РУХУ МПТ НА МАРШРУТАХ
5 ОРГАНІЗАЦІЯ ПРІОРИТЕТУ РУХУ МПТ
ВИСНОВКИ
СПИСОК ЛІТЕРАТУРИ
Додаток А
Додаток Б
Додаток В
Додаток Г
ВСТУП
Транспорт є дуже важливою галуззю розвитку будь-якої держави. Чим більше розвинутий транспорт і транспортні технології, тим більше розвинута держава.
Транспортним засобом э машина, яка пересувається по поверхні землі силою, що утворюється повздовжньою взаємодією коліс з твердою опорою.
Зараз ми не можемо уявити нашого життя без автобусів, тролейбусів, метро тощо.
Вимогами до пасажирського транспорту є:
· максимальний комфорт для пасажирів при мінімальній вартості перевезень;
· достатня надійність;
· можливість перевезення великої кількості пасажирів на будь-які відстані та напрямки.
Метою даного курсового проекту є закріплення теоретичних знань з дисципліни «Організація руху видів транспорту», одержання практичних навиків визначення характеристик руху видів транспорту, розробка заходів з підвищення ефективності й безпеки функціонування руху на маршрутах міського пасажирського транспорту (МПТ).
1
.
РОЗРАХУНОК ПРОПУСКНОЇ МОЖЛИВОСТІ ДІЛЯНОК МЕРЕЖІ
Важливішим критерієм, що характеризує функціонування шляхів повідомлення є їх пропускна можливість. Пропускною можливістю дороги є максимальне число автомобілів, які можуть пройти на відрізу дороги на протязі певного відрізку часу при забезпеченні заданої швидкості і безпеки руху.
Пропускна здатність багатосмугових вулиць не є арифметичною сумою пропускної спроможності кожної зі смуг. Це пояснюється необхідністю маневрування для перебудування, здійснення поворотів і розворотів на перетинаннях, зупинках и ін. Пропускну можливість вулиць неперервного руху з багатосмуговою проїжджою частиною розраховують за формулою:
 , авт./год. (1.1)
де – пропускна можливість k-тої ділянки мережі, авт./год.;
– розрахункова пропускна можливість одної смуги руху, авт./год.;
– коефіцієнт, що враховує вплив кількості смуг на пропускну
можливість.
Значення Kп
обирають із табл.1.1.
Таблиця 1.1 – Залежність Kп
від кількості смуг руху
| Кількість смуг руху |
1 |
2 |
3 |
4 |
5 |
6 |
| Кп
|
1,0 |
1,8 |
2,4 |
2,9 |
3,4 |
3,9 |
Розрахункову пропускну можливість приймають = 1000 авт./год. з умов забезпечення необхідних маневрів у транспортному потоці та = 1200 авт./год. при відсутності в потоці змін смуг руху.
Розрахунки зведені у табл.1.2.
Таблиця 1.2 – Пропускна спроможність ділянок мережі
| Кількість смуг руху |
Коефіцієнт, що враховує кількість смуг,  |
Пропускна спроможність, ,авт./год. |
Ділянки мережі |
| 1 |
1,0 |
1200 |
7-8, 12-13 |
| 2 |
1,8 |
1800 |
1-3, 9-13, 2-4, 10-11, 8-12, 5-10, 4-9 |
| 3 |
2,4 |
2400 |
4-5, 8-9, 3-4, 5-6, 3-8, 9-10 |
2. ВИЗНАЧЕННЯ ХАРАКТЕРИСТИК ДОРОЖНЬОГО РУХУ
Характеристики дорожнього руху визначаються для кожної ділянки транспортної мережі за напрямками.
В якості вихідних даних для розрахунку приймається значення транспортного попиту і довжини ділянки мережі. При отриманні матриці кореспонденції транспортних засобів величина між транспортними районами залежить від відстані між ними і об’єму відправлення та прибуття транспортних засобів по районах. Значення інтенсивності дорожнього руху на ділянках мережі розраховується за даними матриці кореспонденції як сума кореспонденцій , які рухають на даній ділянці.
Дані наведені у додатках В, Г.
Інтенсивність руху у наведених одиницях визначають за допомогою коефіцієнтів приведення:
, (2.1)
де – інтенсивність руху на k
-й ділянці мережі в приведених одиницях, авт./год.;
– кількість транспортних засобів у транспортному потоці;
– питома вага j
-го виду транспортних засобів у потоці;
– коефіцієнт приведення j
-го виду транспортних засобів до легкового автомобіля.
Таблиця 2.1 - Значення коефіцієнтів приведення
| Найменування транспортних засобів |
Коефіцієнт приведення, Kпр
|
| 1. Легкові автомобілі |
1,0 |
| 2. Вантажні автомобілі (gн
< 4 т) |
2,0 |
Продовження таблиці 2.1
|
| 3. Вантажні автомобілі(gн
= 4-8 т) |
2,5 |
| 4. Вантажні автомобілі (gн
> 8 т) |
3,0 |
| 5. Автобуси |
2,5 |
| 6. Тролейбуси |
3,0 |
| 7. Автопоїзди (gн
< 12 т) |
3,5 |
1-3: (авт./год.)
Рівень завантаження дороги рухом визначають за співвідношенням:
, (2.2)
де – рівень завантаження дороги рухом;
– пропускна можливість k
-ої ділянки мережі, авт./год.
1-3: .
Швидкість транспортного потоку розраховують за матеріалами обстеження, які подані у вих. даних.
Ще одним параметром, що характеризує є швидкість. Швидкість транспортного потоку – це середня швидкість транспортних засобів на визначеному відрізку шляху за визначений відрізок часу. Швидкість транспортного потоку визначається за формулою:
, (2.3)
де – швидкість потоку в і-том випробуванні, км/год.;
– кількість випробувань.
(км/год.)
Після визначення швидкості транспортного потоку, необхідно визначить чи достатньо проведено випробувань для забезпечення необхідної точності і надійності результатів. Достатній об’єм вибірки розраховується за формулою:
, (2.4)
де – функція надійної імовірності, див. вих. дані;
– середньоквадратичне відхилення, км/год.;
– допустиме відхилення, км/год.
, (2.5)
де – швидкість потоку в і-том випробуванні, км/год.;
– кількість випробувань.

Допустиме відхилення розраховуємо за формулою:
, (2.6)
де – відносна точність обліку, див. вих. дані.
(км/год.)
Значення функції довірчої імовірності обирають залежно від довірчої імовірності (див. вих. дані).
Таблиця 2.2 - Значення функції довірчої імовірності
Довірча імовірність  |
0,8 |
0,9 |
0,95 |
Функція довірчої імовірності  |
1,28 |
1,65 |
1,96 |

n
> nпотр
, тобто можна зробити висновок, що проведеної кількості випробувань достатньо для забезпечення необхідної надійності результатів.
Щільність транспортних потоків на ділянках мережі розрахуємо заспіввідношенням:
, (2.7)
де – кількість смуг руху.
1-3: (авт./км)
Усі розраховані характеристики дорожнього руху занесені до підсумкової таблиці 2.3.
Таблиця 2.3 - Параметри дорожнього руху
| Ділян- ки мережі |
Кіль-ть смуг руху |
Дов- жина |
Про- пускна спромож- ність |
Інтенсивність |
Рівень заван- тажен- ня |
Щіль- ність тр-го потоку |
| в фі- зичних од. |
в при- ведених од. |
| 1-3 |
1 |
2,1 |
1800 |
630 |
1099 |
0,61 |
26 |
| 2-4 |
2 |
1,6 |
1800 |
28 |
49 |
0,027 |
1 |
| 3-1 |
1 |
2,1 |
1800 |
815 |
1402 |
0,79 |
33 |
| 3-4 |
3 |
1,9 |
2400 |
360 |
628 |
0,26 |
5 |
| 3-8 |
3 |
2,0 |
2400 |
673 |
1174 |
0,49 |
10 |
| 4-2 |
2 |
1,6 |
1800 |
89 |
155 |
0,086 |
2 |
| 4-3 |
3 |
1,9 |
2400 |
358 |
625 |
0,26 |
5 |
| 4-5 |
3 |
1,9 |
2400 |
444 |
775 |
0,32 |
6 |
| 4-9 |
2 |
1,6 |
1800 |
560 |
977 |
0,54 |
12 |
| 5-4 |
3 |
1,9 |
2400 |
468 |
817 |
0,34 |
6 |
| 5-6 |
3 |
2,2 |
2400 |
59 |
103 |
0,04 |
1 |
| 5-10 |
2 |
2,1 |
1800 |
188 |
328 |
0,18 |
4 |
| 6-5 |
3 |
2,2 |
2400 |
50 |
87 |
0,036 |
1 |
| 7-8 |
1 |
1,7 |
1200 |
839 |
1464 |
1,22 |
34 |
| 8-3 |
3 |
2,0 |
2400 |
856 |
1494 |
0,62 |
12 |
| 8-7 |
1 |
1,7 |
1200 |
852 |
1487 |
1,24 |
35 |
| 8-9 |
3 |
1,3 |
2400 |
1150 |
2007 |
0,84 |
16 |
| 8-12 |
2 |
1,6 |
1800 |
48 |
84 |
0,05 |
1 |
| 9-4 |
2 |
1,6 |
1800 |
704 |
1228 |
0,68 |
14 |
| 9-8 |
3 |
1,3 |
2400 |
1205 |
2103 |
0,88 |
17 |
| 9-10 |
3 |
1,8 |
2400 |
756 |
1319 |
0,55 |
10 |
| 9-13 |
1 |
1,3 |
1800 |
785 |
1370 |
0,76 |
32 |
| 10-5 |
2 |
2,1 |
1800 |
239 |
417 |
0,23 |
49 |
| 10-9 |
3 |
1,8 |
2400 |
974 |
1700 |
0,71 |
13 |
| 10-11 |
2 |
1,7 |
1800 |
693 |
1209 |
0,67 |
14 |
| 11-10 |
2 |
1,7 |
1800 |
811 |
1415 |
0,79 |
17 |
| 12-8 |
2 |
1,6 |
1800 |
27 |
47 |
0,026 |
1 |
| 12-13 |
2 |
1,4 |
1200 |
31 |
54 |
0,045 |
1 |
| 13-9 |
1 |
1,3 |
1800 |
767 |
1338 |
0,74 |
31 |
| 13-12 |
2 |
1,4 |
1200 |
54 |
34 |
0,078 |
1 |
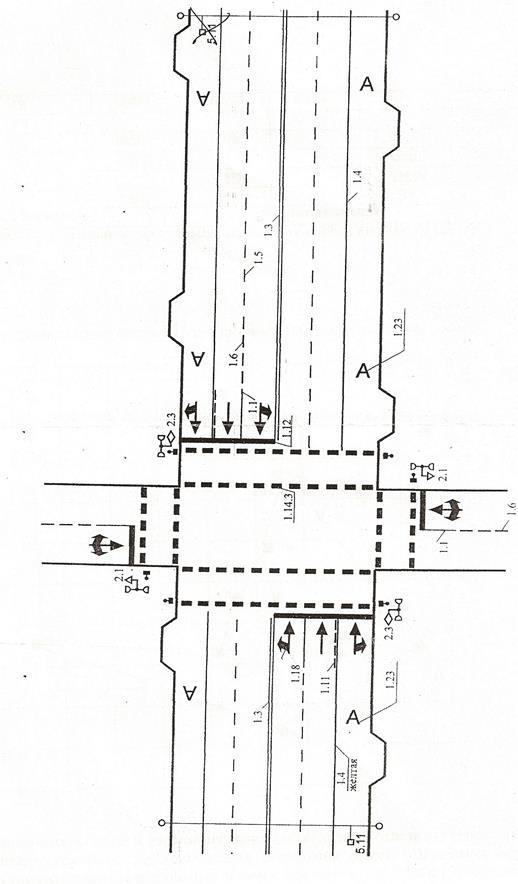
3. РОЗМІЩЕННЯ ЗУПИНОЧНИХ ПУНКТІВ
Розміщення зупиночних пунктів впливає на безпеку руху й пропускну можливість дороги. Існують такі вимоги до розміщення зупиночних пунктів:
- безпека руху пішоходів;
- мінімальні затримки руху транспортних засобів;
- мінімум часу руху пасажирів до зупиночних пунктів.
У практиці організації руху МПТ відстань зупиночних пунктів складає 400-600 м - для звичайних маршрутів й 800-1200 м для швидкісних маршрутів.
Зупиночні пункти МПТ можуть бути розташовані як перед перехрестями, так і за ними. Для автобусів та тролейбусів більш прийнятним є розташування зупинок за перехрестями.
4. РОЗРАХУНОК ХАРАКТЕРИСТИК РУХУ МПТ НА МАРШРУТАХ
Розрахуємо на кожному маршруті МПТ слідуючи характеристики: час зворотного рейсу, інтервал та інтенсивність руху транспортних засобів, швидкість сполучення.
Час зворотного рейсу розраховується за формулою:
, (4.1)
де –відстань між кінцевими зупинках маршруту, км;
–швидкість руху транспортних засобів на маршруті, км/год.;
–кількість проміжних зупинок на маршруті в обох напрямках;
–час простою на проміжних зупинках маршруту, год.;
–час простою на кінцевих зупинках маршруту, год.
(год.)
Інтервал руху транспортних засобів на маршруті розраховується по формулі:
,(4.2)
де – кількість транспортних засобів працюючих на маршруті.
(год.)
Інтенсивність руху транспортних засобів на маршруті розраховується по формулі:
,(4.3)
(авт./год)
Швидкість сполучення розраховуємо за формулою:
, (4.4)
де tс
–час сполучення на маршруті, год.
Час сполучення на маршруті розраховуємо за формулою:
, (4.5)
(год.)
(км/год.)
Характеристики руху МПТ на маршрутах занесені до підсумкової таблиці 4.1.
Таблиця 4.1. – Параметри дорожнього руху МПТ на маршрутах
| Маршрут |
Кількість одиниць |
Кількість проміжних
зупинок
|
Довжина маршруту,
км
|
Час зворотнього рейсу, год |
Час зворотнього
рейсу,
хвил.
|
Інтервал руху, хвил |
Інтенсивність руху, авт/год |
Час сполучення,
год
|
Швидкість сполуч., км/год |
| 7-8-9-10-11 |
15 |
20 |
6,5 |
0,78 |
46,8 |
3,12 |
19 |
0,72 |
18,05 |
| 1-3-4-5-3 |
13 |
20 |
8,1 |
0,908 |
54,48 |
4,14 |
15 |
0,846 |
19,14 |
| 1-3-8-12-13 |
12 |
20 |
7,1 |
0,828 |
49,68 |
4,14 |
15 |
0,768 |
18,49 |
| 2-4-9-13 |
13 |
10 |
4,5 |
0,52 |
31,2 |
2,4 |
25 |
0,46 |
19,57 |
| 6-5-10-9-8-12 |
23 |
22 |
7,2 |
0,856 |
51,36 |
2,22 |
27 |
0,796 |
18,09 |
| 3-8-9-10-5 |
21 |
22 |
7,2 |
0,856 |
51,36 |
2,46 |
24 |
0,796 |
18,09 |
| 6-5-4-9-13 |
16 |
16 |
7 |
0,78 |
46,8 |
2,94 |
20 |
0,72 |
19,4 |
| 7-8-3-4-5 |
14 |
18 |
7,5 |
0,84 |
50,4 |
3,6 |
17 |
0,78 |
19,23 |
5. ОРГАНІЗАЦІЯ ПРІОРИТЕТУ РУХУ МПТ
При збільшенні інтенсивності транспортних потоків задача збільшення швидкості і безпеки на маршрутному транспорті стає особливо актуальною, разом з цим важко доступною. Рішення цієї задачі потребує визначення пріоритету маршрутним транспортним засобам.
Пріоритет руху МПТ забезпечують:
- правила дорожнього руху;
- введення окремої фази світлофорного регулювання;
- введення окремих заборон для інших транспортних засобів;
- виділення окремої смуги для руху МПТ.
Найбільш ефективним методом прискорення пропуску маршрутних транспортних засобів є виділення спеціальної смуги, по якій заборонено рух іншим транспортним засобам. Для цього можливо вилучення першого ряду руху, так і крайнього лівого ряду проїзної частини двостороннього руху.
Існують такі критерії виділення окремої смуги для МПТ:
1. Дорога повинна мати не менше трьох смуг руху в одному напрямку.
2. Інтенсивність руху транспортного потоку до виділення окремої смуги для МПТ не менш 400 авт./год. в середньому на одну смугу руху.
3. Інтенсивність руху транспортного потоку після виділення окремої смуги для МПТ не більше 900 авт./год. в середньому на одну смугу.
4. Інтенсивність руху МПТ не менше 50 од./год.
Попередньо розраховуємо інтенсивність та інтервал руху МПТ на всіх ділянках мережі та будуємо епюру інтенсивності на схемі транспортної мережі.
Інтенсивність руху однієї смуги ділянки після введення пріоритету розраховується за формулою:
(5.1)
де – інтенсивність руху однієї смуги п-
ї ділянки після введення окремої смуги для руху МПТ, авт./год.;
2,5 – коефіцієнт зведення для МПТ.
(авт./год.)
Також визначаємо габаритну довжину зупиночних пунктів, користуючись наступними рекомендаціями. При інтенсивності руху МПТ 15 од/год достатня довжина зупинок: м – для одиночних автобусів та тролейбусів; м – для подвійних автобусів та тролейбусів. При інтенсивності руху МПТ 15 од/год достатня довжина зупинок: м – для одиночних автобусів та тролейбусів; м – для подвійних автобусів та тролейбусів.
Таблиця 5.1. – Дані по виконанню умов приоритету руху МПТ
| Ділян- ки мережі |
Кіль-ть смуг руху |
Інтенсив- ність руху МПТ |
Інтенсивність руху на одну смугу |
Габаритна довжина зупиночних пунктів |
Виконан- ня умов введення приори- тету |
| до |
після |
| 1-3 |
1 |
30 |
1099 |
- |
35 |
ні |
| 2-4 |
2 |
2 |
25 |
- |
35 |
ні |
| 3-1 |
1 |
30 |
1402 |
- |
35 |
ні |
| 3-4 |
3 |
32 |
209 |
- |
35 |
ні |
| 3-8 |
3 |
56 |
391 |
- |
35 |
ні |
| 4-2 |
2 |
25 |
78 |
- |
35 |
ні |
| 4-3 |
3 |
32 |
208 |
- |
35 |
ні |
| 4-5 |
3 |
52 |
258 |
- |
45 |
ні |
| 4-9 |
2 |
45 |
489 |
- |
45 |
ні |
| 5-4 |
3 |
52 |
272 |
- |
45 |
ні |
| 5-6 |
3 |
62 |
33 |
- |
45 |
ні |
| 5-10 |
2 |
51 |
164 |
- |
35 |
ні |
| 6-5 |
3 |
62 |
29 |
- |
45 |
ні |
| 7-8 |
1 |
36 |
1464 |
- |
35 |
ні |
| 8-3 |
3 |
56 |
498 |
677 |
35 |
так |
| 8-7 |
1 |
36 |
1487 |
- |
35 |
ні |
| 8-9 |
3 |
70 |
669 |
916 |
35 |
ні |
| 8-12 |
2 |
42 |
42 |
- |
35 |
ні |
| 9-4 |
2 |
45 |
614 |
- |
45 |
ні |
| 9-8 |
3 |
70 |
701 |
964 |
35 |
ні |
| 9-10 |
3 |
70 |
440 |
573 |
35 |
так |
| 9-13 |
1 |
45 |
1370 |
- |
45 |
ні |
| 10-5 |
2 |
51 |
209 |
- |
35 |
ні |
| 10-9 |
3 |
70 |
563 |
757 |
35 |
так |
| 10-11 |
2 |
19 |
605 |
- |
35 |
ні |
| 11-10 |
2 |
19 |
708 |
- |
35 |
ні |
| 12-8 |
2 |
42 |
24 |
- |
35 |
ні |
| 12-13 |
2 |
15 |
27 |
- |
35 |
ні |
| 13-9 |
1 |
45 |
1338 |
- |
45 |
ні |
| 13-12 |
2 |
15 |
17 |
- |
35 |
ні |
Організація пріоритету руху МПТ виконується лише для ділянок 8-3, 9-10 та 10-9. На інших ділянках не виконуються критерії виділення окремої смуги для МПТ.
ВИСНОВКИ
Метою даного курсового проекту було закріплення теоретичних знань з дисципліни «Організація руху видів транспорту», одержання практичних навиків визначення характеристик руху видів транспорту, розробка заходів з підвищення ефективності й безпеки функціонування руху на маршрутах міського пасажирського транспорту (МПТ).
Була розрахована пропускна можливість ділянок мережі з однією,двома та трьома смугами руху, яка складає 1200, 1800 та 2400 авт./год. відповідно. Визначені характеристики дорожнього руху для кожної ділянки транспортної мережі за напрямками, а саме інтенсивність, рівень завантаження дороги рухом, швидкість транспортного потоку,яка складає 42,583 км/год., щільність транспортних потоків на ділянках мережі.
Згідно з розрахунками та вимогами розміщення зупиночних пунктів були розташовані зупиночні пункти на схемі транспортної мережі. Також окремо розраховані характеристику руху міського пасажирського транспорту на маршрутах (час зворотнього рейсу, інтервал руху транспортних засобів на маршруті, інтенсивність руху, швидкість сполучення та час сполучення на маршруті) та побудована інтенсивність транспортних потоків на цих маршрутах.
Для збільшення швидкості і безпеки на маршрутному транспорті виділено пріоритет для трьох ділянок транспортної мережі (інші ділянки не потребують виділення пріоритету через невиконання певних критерій виділення окремої смуги для МПТ). Для цього розрахована інтенсивність руху однієї смуги, яка складає не менше 400 авт./год., та інтенсивність руху транспортних засобів після введення пріоритету, яка складає не більше 900 авт./год. Цим параметрам відповідають ділянки 8-3, 9-10 та 10-9.
СПИСОК ЛІТЕРАТУРИ
1. Клинковштейн Г.И. Организация дорожного движения. - М.: Транспорт, 1992.
2. Хомяк Я.В. Организация дорожного движения. - К.: Вища школа, 1986.
3. Коноплянко В.И. Организация и безопасность дорожного движения. - М.: Транспорт, 1991.
4. Самойлов Д.С. Городской транспорт. - М.: Стройиздат, 1983.
5. Бабков В.Ф., Андреев О.В. Проектирование автомобильних дорог: Учебник для ВУЗов. - Изд. 2-е, перераб. и доп. - М.: Транспорт, 1987.
6. Автомобильные перевозки и организация дорожного движения: Справочник. Пер. с англ. / В.У. Рэнкин, С. Халберт и др. - М.: Транспорт, 1981.
7. Лобанов Е.М. Транспортная планировка городов. - М.: Транспорт, 1990.
МІНІСТЕРСТВО ОСВІТИ ТА НАУКИ УКРАЇНИ
ХАРКІВСЬКА НАЦІОНАЛЬНА АКАДЕМІЯ МІСЬКОГО ГОСПОДАРСТВА
Факультет Менеджменту
Кафедра транспортних систем і логістики
АЛЬБОМ ГРАФІЧНОГО МАТЕРІАЛУ
до курсового проекту
з дисципліни: «Організація руху видів транспорту»
Харків 2009
ЗМІСТ
СХЕМА ТРАНСПОРТНОЇ МЕРЕЖІ З ЕПЮРОЮ КОЕФІЦІЄНТІВ ЗАВНТАЖЕННЯ
СХЕМА РОЗТАШУВАННЯ ЗУПНОК МПТ НА ТРАНСПОРТНІЙ МЕРЕЖІ
СХЕМА ТРАНСПОРТНОЇ МЕРЕЖІ З ЕПЮРОЮ ІНТЕНСИВНОСТІ
СХЕМА ДІЛЯНОК ПІСЛЯ ЗАСТОСУВАННЯ ПРІОРИТЕТУ
СХЕМА ТРАНСПОРТНОЇ МЕРЕЖІ З ЕПЮРОЮ
КОЕФІЦІЄНТІВ ЗАВАНТАЖЕНОСТІ
0,79
0,67
0,036 0,05
0,18
0,23
0,71
0,34 0,32 0,55 0,74
0,68
0,027
0,086 0,88
0,84
0,54
0,61
0,26 0,26 0,49 0,76
0,045 0,078
0,026
0,05
0,62
0,79
1,22 1,24
Умовні позначення:

вузол транспортної мережі;
дуга транспортної мережі.
СХЕМА РОЗТАШУВАННЯ ЗУПИНОК МПТ НА ТРАНСПОРТНІЙ МЕРЕЖІ

Умовні позначення:
- кінцевий пункт;
- проміжний пункт;
- вузол транспортної мережі;
- забудова на транспортній мережі;
- дуга транспортної мережі;
СХЕМА ТРАНСПОРТНОЇ МЕРЕЖІ З ЕПЮРОЮ ІНТЕНСИВНОСТІ

Умовні позначення

6-5-10-9-8-12
1-3-4-5-6
1-3-8-12-13
7-8-3-4-5
7-8-9-10-11
6-5-4-9-13
2-49-13
3-8-9-10-5
інтенсивність на
даному маршруті
СХЕМА ДІЛЯНОК ПІСЛЯ ЗАСТОСУВАННЯ ПРІОРИТЕТУ

|